情報更新日:2026年04月03日/広告有効期限:なし
表示閲覧回数(過去30日間):20
お急ぎの方はお電話からお気軽にどうぞ!
052-825-3395 営業時間 / 9:30〜18:00 定休日 / 日曜日
>物件詳細情報
| 基本情報 | |
|---|---|
| 物件番号 | 10007811010 |
| 店舗形態 | 店舗, 店舗(飲食店可), 事務所 |
| オススメ業種 | 軽飲食, 美容関係, 物販関係, 事務所 |
| 物件名 | 光ハイツ |
| 物件の状態 | 空き |
| 引越し時期 | 相談 |
| 契約形態と期間 |
普通契約期間:2年間 |
| 所在地・交通 | |
|---|---|
| 所在地 | 愛知県名古屋市中川区高畑3-142 |
| 交 通1 | 東山線高畑駅 徒歩3分 |
| 交 通2 | - |
| 賃料 | |
|---|---|
| 賃 料 | 88,000円(税込) |
| 保証金 | 3ヶ月 |
| 保証金償却 | 55% |
| その他 | |
|---|---|
| 備考 | 1階路面店舗・事務所です。保証会社・火災保険契約必須です。事務所・店舗はテナント名古屋へ。 |
| 建物 | |
|---|---|
| 建物構造 | 鉄筋コンクリート造 |
| 建物階建て |
地上5階 |
| 施工年月 | 1987(昭和62)年 04月 |
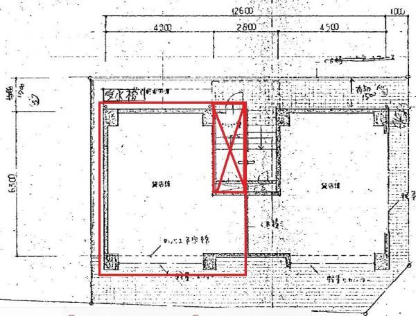
| 募集物件の階数 | 地上 1階 西号室 |
| 契約面積 | 30.50m2(9.23坪) |
| 用途地域 | 近商地域 |
| 設備 | |
|---|---|
| 水道 | 公営 |
| 下水道 | 公共下水 |
| ガス | 都市ガス |
| エレベータ | 無 |
| エアコン | 無 |
| トイレ | 有/専用 |
| シャッター | 有/手動 |
| 駐車場 | |
|---|---|
| 状 況 | 無し |
| 取引情報 | |
|---|---|
| 取引態様 | 専任 |
| 客付 | 可 |
この物件をチェックした人はこんな物件も見ています
- 藤が丘駅徒歩圏内の好立地、事務所・店舗はテナント名古屋へ

愛知県名古屋市名東区小池町-13-2
49.74m2(15.05坪)
165,000円(税込)
- 金山駅徒歩4分の好立地の事務所タイプです。事務所利用希望です。

愛知県名古屋市中区金山4-3-20
33.06m2(10.00坪)
88,000円(税込)
- 駐車場4台付き事務所付倉庫です。倉庫201.22㎡・事務所81.83㎡です。保証会社・火災保険契約必須です。

愛知県名古屋市中川区高畑5-254
283.05m2(85.62坪)
660,000円(税込)
- バス通りに建っているので便利ですよ 駐車場1台無料 事務所・店舗はテナント名古屋へ

愛知県名古屋市北区中味鋺3-814
56.68m2(17.15坪)
80,000円(税込)
- ロードサイド沿い1階、黒川交差点角地の店舗・事務所です。 保証会社・火災保険契約必須です。

愛知県名古屋市北区志賀南通1-16-1
112.10m2(33.91坪)
550,000円(税込)
今日チェックした物件
お急ぎの方はお電話からお気軽にどうぞ!
052-825-3395 営業時間 / 9:30〜18:00 定休日 / 日曜日


052-825-3395



















052-825-3395